Vacant Lot Route 8 New Bandon, New Brunswick E9C 0A8
$44,900
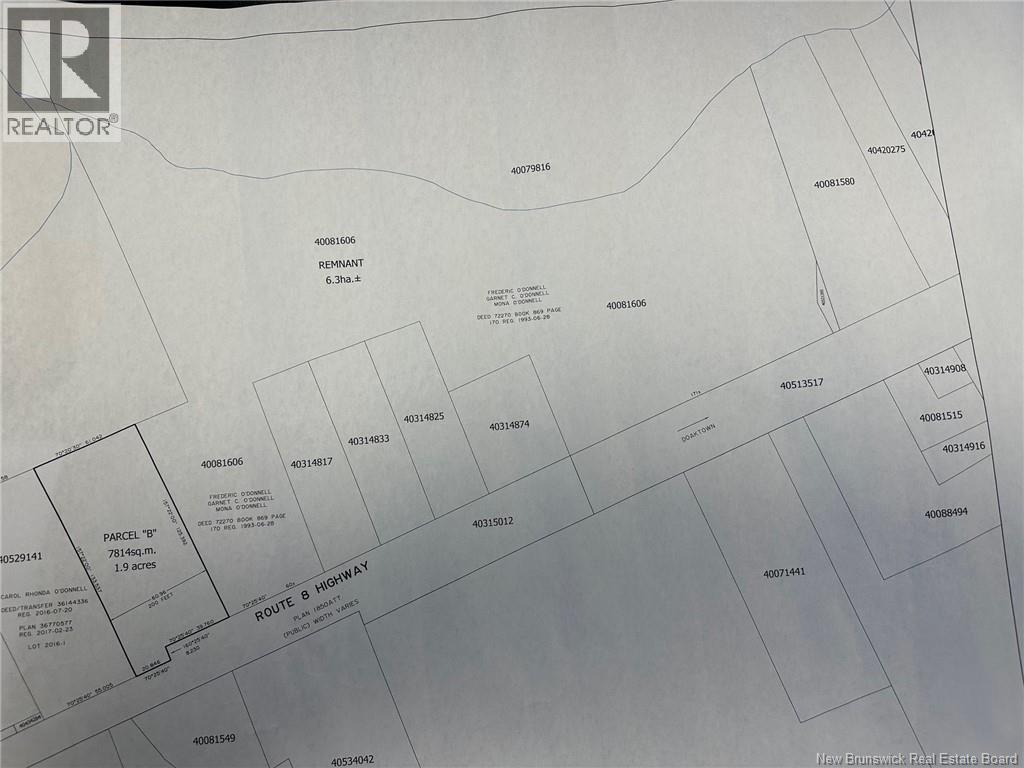
Looking for a large acreage at the price of a single-acre lot closer to the city? Look no further! This expansive 15.5-acre parcel of land offers an incredible opportunity for development or personal use. Imagine subdividing 3 separate 2 acre building lots to the right, which would pay for the entire piece of land, while still retaining a spacious lot on the left that stretches all the way to the rear of the property. This configuration allows for a substantial 10-to-11-acre lot, perfect for building your dream home or a secluded camp. A brook runs across the lots in the back, a great natural landscape feature. Located along Route 8 Highway, the property is easily accessible with power running right in front. Just a short distance from the renowned Miramichi River, this area is a haven for outdoor enthusiasts. Whether you're into fishing, hunting, snowmobiling, or ATV riding, this location has it all. Dont miss out on this rare chance to own a large piece of land with endless possibilities at an unbeatable price! (id:50541)
Property Details
| MLS® Number | NB129518 |
| Property Type | Vacant Land |
| Amenities Near By | Golf Course |
| Features | Treed, Golf Course/parkland |
| Structure | None |
Building
| Utility Water | None |
Land
| Access Type | Year-round Access, Public Road |
| Acreage | Yes |
| Land Amenities | Golf Course |
| Sewer | No Sewage System |
| Size Irregular | 15.5 |
| Size Total | 15.5 Ac |
| Size Total Text | 15.5 Ac |
https://www.realtor.ca/real-estate/29058931/vacant-lot-route-8-new-bandon
283 St. Mary's Street
Fredericton, New Brunswick E3A 2S5
Contact Us
Contact us for more information


